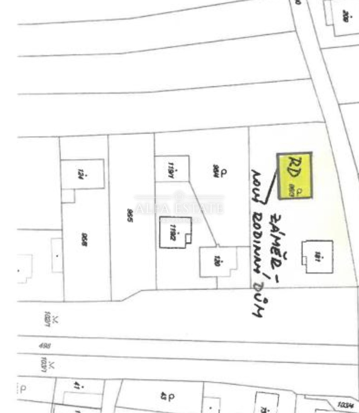
Nabízíme k prodeji samostatně stojící rodinný dům s podsklepením, jedním nadzemním podlažím a obytným podkrovím. Objekt je postaven ze zdiva z plynosilikátových tvárnic, založený na základových pásech. Jedná se o podsklepený dům – využití suterénu pro technické zázemí a skladovací prostory a jedno nadzemní podlaží + obytné podkroví. Konstrukce domu je zděná, sedlová střecha se střešní krytinou z plechových šablon, fasáda- stříkaný břízolit, kabřincový obklad. Stropy: z hurdisek do I profilů, podlahy: PVC a keramické dlaždice. Vnitřní omítky: štukové, částečně dřevěné obklady. Dům sestává ze vstupního prostoru, po pravé straně se nachází velmi prostorný obývací pokoj s balkónem a krbovými kamny, ze kterého vejdeme do kuchyně, sousedící s koupelnou. V obytném podkroví se potom nachází dvě ložnice, k jedné náleží balkon. Vytápění je řešeno elektrokotlem, voda a kanalizace jsou napojeny do veřejného řádu. Jedná se o klasický rodinný dům Nemovitost má solidní konstrukční stav a standardní vybavenost, která umožňuje užívání, i postupnou modernizaci dle představ nového majitele. Výhodu je možnost rozdělení pozemku na druhý stavební pozemek o výměře 800m2 a stavbou rodinného domu 150m2. K tomuto záměru byl vydán souhlas s dělením pozemku, včetně souhlasu na napojení na komunikaci a veřejný vodovod a kanalizaci. Součástí prodeje nemovitosti je také pozemek o výměře 385m2-ostaní plocha, který se nachází nedaleko. Obec Hostín u Vojkovic leží ve Středočeském kraji, v okrese Mělník, přibližně 25 km od Prahy. Díky poloze v úrodné polabské nížině nabízí příjemné a klidné prostředí vhodné pro rodinné bydlení i rekreaci. Hostín je dobře dopravně napojen na okolní města. Autem se do Prahy dostanete během půl hodiny, do Kralup nad Vltavou za cca 10 minut a do Mělníka přibližně za 15 minut. Obcí prochází silnice II/101, která spojuje Neratovice s Kralupy nad Vltavou. Veřejnou dopravu zajišťují pravidelné autobusové linky s návazností na vlaky v Neratovicích a Kralupech nad Vltavou. V obci funguje mateřská a základní škola (1.–5. ročník), pošta a obecní úřad. Pro větší nákupy, zdravotní péči či další služby lze využít blízké Kralupy nad Vltavou, Neratovice nebo Mělník, kde je k dispozici kompletní infrastruktura. Hostín u Vojkovic je tradiční česká vesnice s příjemnou komunitní atmosférou. Obec se stará o společenský život – pořádá kulturní i sportovní akce a podporuje místní spolky. Okolní krajina mezi řekami Labem a Vltavou je ideální pro cyklistiku, procházky i aktivní trávení volného času v přírodě. Hostín u Vojkovic je klidná a dobře dostupná obec nedaleko Prahy s vlastní základní vybaveností a příjemným venkovským prostředím. Díky blízkosti měst Kralupy nad Vltavou, Neratovice a Mělník nabízí ideální kombinaci klidu, přírody a rychlé dostupnosti veškerých služeb. Velmi rádi vám tuto nemovitost představíme při osobní schůzce.
V tomto článku shrneme nejdůležitější věci, které byste si měli promyslet, pokud se chystáte prodat svou nemovitost a chcete, abyste s kupujícím nemusel následně řešit vzniklé problémy.
Jako prodávající nesete rizika spojená nejen se samotným obchodem, ale i se stavem nemovitosti v době prodeje a pro minimalizaci rizik, je dobré se zamyslet nad uvedenými oblastmi.
Realitní makléř má své nezastupitelné místo v realitním obchodu. Realitním makléřem nemyslím nevzdělané jelito, které absolvovalo dvoudenní školení a ví, jak se nahraje inzerát na inzertní portál.
Realitním makléřem, který se Vám skutečně vyplatí, je zkušený profesionál, který je schopen Vám dobře poradit jak prodat za co nejvíc a s nejmenším rizikem a hlavně je Vás schopen obratně provést celým realitním obchodem.
Uživatel serveru RealityMIX.iprima.cz (dále jen „Server“) dostupného na internetové adrese (URL) https://realitymix.iprima.cz, který provozuje společnost DALTEN media s.r.o., se sídlem Na Harfě 916/9a, Praha 9, 190 00, IČO: 271 35 306 (dále jen „Správce“) jako provozovateli tohoto Serveru uděluje svůj výslovný souhlas v souladu s ustanovením § 5 zákona č. 101/2000 Sb. O ochraně osobních údajů a o změně některých zákonů, v platném znění (dále jen „zákon o ochraně osobních údajů“), se zpracováním uživatelem poskytnutých osobních údajů a dalších dat.
Uživatel poskytuje Správci osobní údaje v rozsahu: jméno, příjmení, e-mailová adresa, telefonický kontakt a další data, a to z důvodu projeveného zájmu o nemovitost, kde prostřednictvím služby Serveru Správce osloví Uživatel inzerenta uvedeného v detailu
nemovitosti - Alfa Estate (IČ 10799796) se zájmem o jeho služby.
Uživatel tyto osobní údaje poskytuje dobrovolně a bere na vědomí, že součástí služeb Správce, které Správce Uživateli poskytuje, je vyhledání všech Uživateli vyhovujících (dle parametrů - cena, typ nemovitosti, lokalita atd.) nemovitostí. Správce za tímto účelem provozuje aplikace Hlídací pes a newsletter. Tyto služby je možné z každého zaslaného emailu odhlásit. Souhlas se zpracováním osobních údajů Uživatel poskytuje Správci na dobu neurčitou s tím, že svůj udělený souhlas může Uživatel kdykoliv na drese správce info@realitymix.cz odvolat. Správce garantuje Uživateli i další práva uvedené v ustanovení §11 a §21 zákoba č. 101/200 Sb. Ve znění pozdějších předpisů.
Více informací o zpracování údajů získáte zde (realitymix.cz/zasady-ochrany-osobnich-udaju)